Výlov VN Nová Ves nad Žitavou
2022-11-06 19:08:00
Fotogaléria
Oznamy

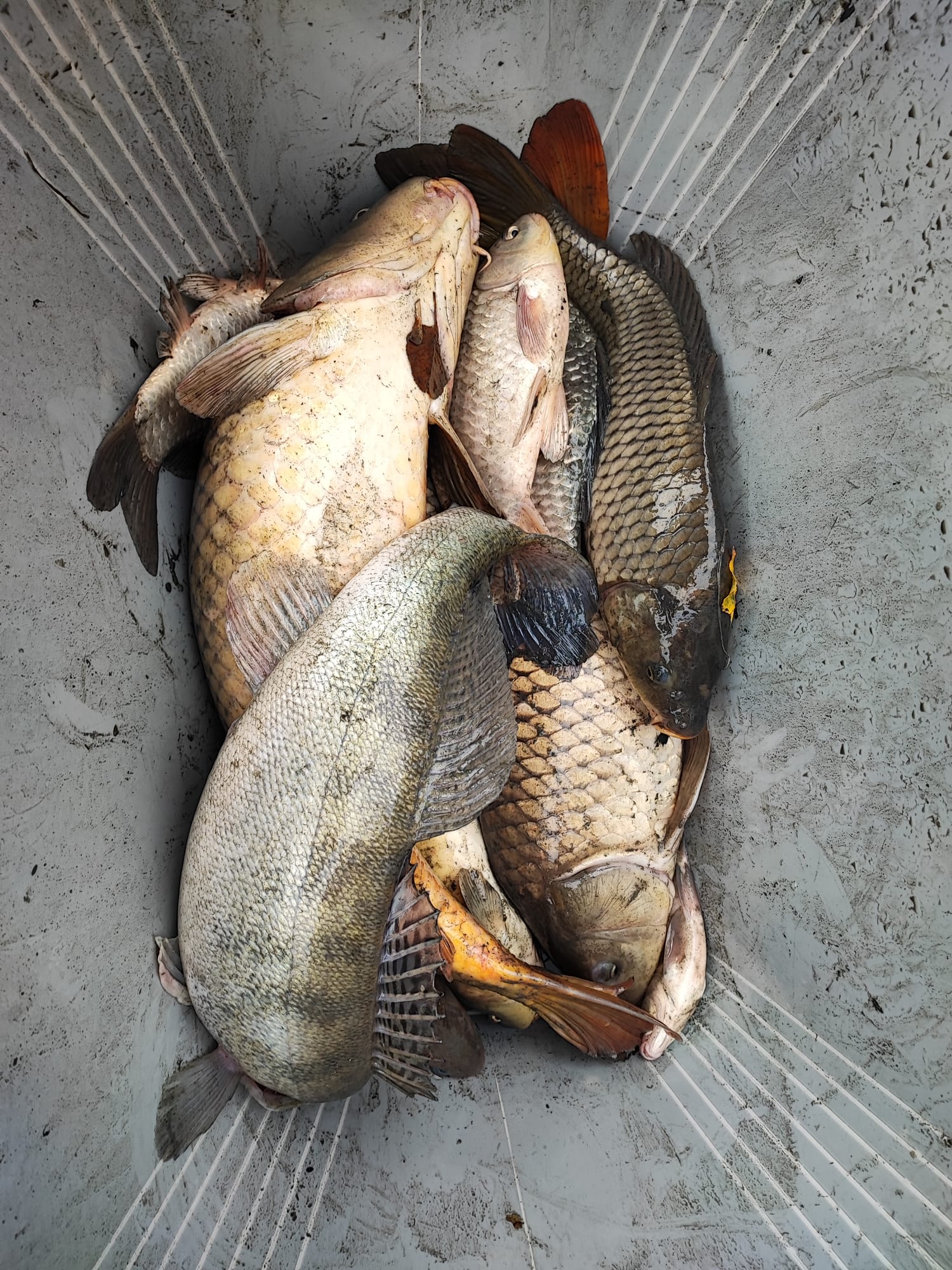
V dňoch 5.- 6.11.2022 sa uskutočnil výlov VN Nová Ves nad Žitavou. Nakoľko na uvedenej VN sa nenachádza odlovovacia jama voda ostala rozliata na väčšej ploche čo sťažovalo výlov tak ako aj veľké množstvo bahna.
Z VN sa vylovilo:
Kapor - 1400 kg
Zubáč - 350 kg
Sumec - 20 ks
Šťuka - 4 ks
Úhor - 10 ks
Amur - 6 ks
Karas+ biela ryba - 3800 kg.
Ušlachtilé ryby / kapor, zubáč, šťuka, sumec, úhor a amur/ boli prevezené do VN Slepčany a VN Veľké Vozokany, karasa a bielu rybu si previezla firma rybarstvo KARÁP. Cena za karasa a bielu rybu bude odpočítaná z ceny za výlov.
Výbor MO SRZ Zlaté Moravce ďakuje brigádnikom, ktorí sa zúčastnili výlovu.